713-791-0700
About
About Dr. Fairchild
In the Media
Blog
Procedures
Breast
Breast Augmentation
Breast Lift
Breast Lift with Implants
Breast Reconstruction
Breast Reduction
Breast Implant Revision
Body
Liposuction
Tummy Tuck
Mommy Makeover
Arm Lift
Post Weight Loss Surgery
Face
Face and Neck Lift
Eyelid Surgery
Chin Augmentation Surgery
Non Surgical
Injectable Dermal Fillers
Gallery
Contact Us
Houston Location
713-791-0700
Back to Gallery
/
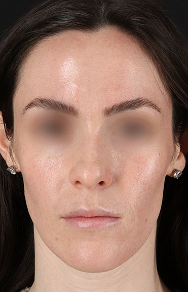
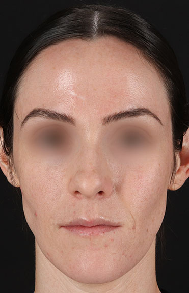
Cosmetic Injectables
Cosmetic Injectables Photos
Patient 1
Next
Botox